Courtesy of City of Miami Beach
Audio By Carbonatix
Nearly two years after Florida voters approved a referendum legalizing medical marijuana, dispensaries are still few and far between in the Sunshine State. Across Miami-Dade County, only five storefronts sell legal cannabis.
In Miami Beach, the city’s first — and so far only — marijuana dispensary, Surterra Wellness Center, opened on 4/20 at 1523 Alton Rd. At a meeting next Tuesday, the city’s planning board will review an ordinance that sets the rules for Miami Beach dispensaries and lays out where new ones could be located.
Originally, city commissioners hoped to limit the number of dispensaries to three, but last summer, state lawmakers passed legislation that essentially opened the door to an unlimited number of possible dispensaries in Miami Beach. Now the planning board is reviewing maps showing where those future dispensaries could one day set up shop.
Currently, two of those dispensary-friendly zones are in South Beach. Medical marijuana treatment centers would be permitted on the north side of Fifth Street and along Alton Road between Sixth and Eighth streets, as well as a bit farther north on Alton between 13th and 16th Streets:
When news happens, Miami New Times is there —
Your support strengthens our coverage.
We’re aiming to raise $30,000 by December 31, so we can continue covering what matters most to you. If Miami New Times matters to you, please take action and contribute today, so when news happens, our reporters can be there.

Fifth Street between Ocean Court and West Avenue, plus Alton Road between Sixth and Eighth Streets.
Courtesy of City of Miami Beach

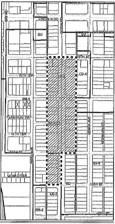
Alton Road between 13th and 16th Streets
Courtesy of City of Miami Beach
Another zone is planned for the northeast corner of Alton Road and Dade Boulevard, where a Chase branch and Walgreens are located: The northeast corner of Alton Road and Dade Boulevard Courtesy of City of Miami Beach
In Mid-Beach, the zone covers the area where Mount Sinai Medical Center stands, plus a few blocks along 41st Street between Sheridan Avenue and Indian Creek: The area north of the Julia Tuttle Causeway. Courtesy of City of Miami Beach 41st Street between Sheridan Avenue and Indian Creek Courtesy of City of Miami Beach

Finally, in North Beach, dispensaries could be allowed along the south side of 71st Street between Collins and Harding Avenues:

41st Street between Collins and Harding avenues
Courtesy of City of Miami Beach
The ordinance outlining the zones was approved in July 2017 by the city commission, which added a provision requiring the planning board to review the legislation one year later. Miami Beach commissioners also added provisions banning dispensaries from having entertainment, special events, vapor lounges, membership clubs, and explicit signage about marijuana that’s visible from the road. Dispensaries also must provide the city with a security plan, business plan, operating plan, and “odor management” plan.
As of now, it’s unclear if the planning board is looking to change anything about the ordinance; the item is on Tuesday’s agenda simply as a discussion item.